(1) (1)
  • Berisso

Venta

Terreno

Precio

Buscar solo avisos en moneda:

Dorm|Amb

Más filtros Más filtros

Características

Superficie total

Nombre de calle y altura

Tipo de urbanización

Fot

Servicios

Tipo de anunciante

Comparte comisión

194 Terrenos en Venta en Berisso

1/9

0

USD 10.000

37 entre 126 y 127 , Piso 0

Terreno en Venta en Berisso, Buenos Aires

  • 95 m² Total
  • 13 mts Frente
  • 7 mts Fondo

Lote en Venta Berisso | Calle 37 e/ 126 y 127

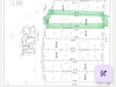
Lote ubicado en calle 37 entre 126 y 127 de la ciudad de berisso. Venta de lote irregular al frente con una superficie total de 95m2. Escritura definitiva . Posible financiación corresponde al lote n 10 , se puede observar en las imágenes del plano adjuntado. Oportunidad excelente de adquirir un lote en una de las zonas estratégicas de berisso. Dicho lote cuenta con todos los servicios . Milagros tedesco matrícula cmcpdjlp 7548 teléfonos de contacto (0 todas las propiedades que figuran en esta publicación se encuentran a cargo del profesional matriculado milagros tedesco, matrícula cmcpdjlp 7548 por lo tanto la intermediación y la conclusión de las operaciones serán llevadas exclusivamente por él. En cumplimiento de la ley 10.973 de la provincia de buenos aires, ley nacional 25.028, ley nacional 20.266, ley 22.802 de lealtad comercial, ley 24.240 de defensa al consumidor, las normas del código civil y comercial de la nación y constitucionales, los asesores o agentes no ejercen el corretaje inmobiliario. Todas las operaciones inmobiliarias son objeto de intermediación y conclusión por parte del martillero y corredor colegiado, cuyos datos se exhiben en el nombre de la inmobiliaria. Ley 5115: excepto que en la descripción de la propiedad se indique lo contrario, el edificio puede no contar con rampa para personas con movilidad reducida, y no ser accesible para personas con discapacidades físicas. Venta sujeta a la obtención del coti por parte del propietario. Las medidas son aproximadas, las reales surgen del título o plano de mensura. Las reservas se toman exclusivamente en la inmobiliaria con el matriculado cmcpdjlp 7548

Contactar
1/8

0

USD 17.000

37 entre 126 y 127 , Piso 0

Terreno en Venta en Berisso, Buenos Aires

  • 220 m² Total
  • 6,13 mts Frente
  • 36 mts Fondo

Lote en venta en Berisso | calle 37 e/ 126 y 127 | Berisso

Terreno en venta de 220m2 en berisso. Se ubica en la calle 37 entre 126 y 127 de la ciudad de berisso, con un frente de 6,13 metros y un fondo de 36m2,el lote cuenta con una superficie total de 223m2. Corresponde al lote n 5, se puede ver sus medidas en el plano adjuntado en las imágenes. Escritura definitiva , se acepta permuta y posible financiación. Incluye todos los servicios .Gas, luz, agua y desagüe cloacal. Ubicado a 200 metros de la ruta 11 y a metros del transporte publico, lo que lo convierte en una opción ideal tanto para vivienda como para inversión. Milagros tedesco matrícula cmcpdjlp 7548 teléfonos de contacto (0 todas las propiedades que figuran en esta publicación se encuentran a cargo del profesional matriculado milagros tedesco, matrícula cmcpdjlp 7548 por lo tanto la intermediación y la conclusión de las operaciones serán llevadas exclusivamente por él. En cumplimiento de la ley 10.973 de la provincia de buenos aires, ley nacional 25.028, ley nacional 20.266, ley 22.802 de lealtad comercial, ley 24.240 de defensa al consumidor, las normas del código civil y comercial de la nación y constitucionales, los asesores o agentes no ejercen el corretaje inmobiliario. Todas las operaciones inmobiliarias son objeto de intermediación y conclusión por parte del martillero y corredor colegiado, cuyos datos se exhiben en el nombre de la inmobiliaria. Ley 5115: excepto que en la descripción de la propiedad se indique lo contrario, el edificio puede no contar con rampa para personas con movilidad reducida, y no ser accesible para personas con discapacidades físicas. Venta sujeta a la obtención del coti por parte del propietario. Las medidas son aproximadas, las reales surgen del título o plano de mensura. Las reservas se toman exclusivamente en la inmobiliaria con el matriculado cmcpdjlp 7548

Contactar
1/9

0

USD 20.000

37 entre 126 y 127 , Piso 0

Terreno en Venta en Berisso, Buenos Aires

  • 263 m² Total
  • 8 mts Frente
  • 32 mts Fondo

Lote en venta | Calle 37 e/ 126 y 127 | Berisso

Blote en venta ubicado , calle 37 entre 126 y 127 berisso. Con un frente irregular de 8,08 metros y un fondo de 32,8 m2 . El lote cuenta con una superficie total de 263m2, corresponde al lote n 6 se pueden ver sus medidas en el plano adjuntado. Escritura definitiva .Apto crédito y financiación. El lote se encuentra en excelente estado incluye todos los servicios básicos: electricidad, gas natural, desagüe cloacal, agua corriente . Ubicado a 200 metros de la ruta 11 y a 50 metros del transporte publico. Una excelente oportunidad para quienes buscas un lote en una ubicación privilegiada. Milagros tedesco matrícula cmcpdjlp 7548 teléfonos de contacto (0 todas las propiedades que figuran en esta publicación se encuentran a cargo del profesional matriculado milagros tedesco, matrícula cmcpdjlp 7548 por lo tanto la intermediación y la conclusión de las operaciones serán llevadas exclusivamente por él. En cumplimiento de la ley 10.973 de la provincia de buenos aires, ley nacional 25.028, ley nacional 20.266, ley 22.802 de lealtad comercial, ley 24.240 de defensa al consumidor, las normas del código civil y comercial de la nación y constitucionales, los asesores o agentes no ejercen el corretaje inmobiliario. Todas las operaciones inmobiliarias son objeto de intermediación y conclusión por parte del martillero y corredor colegiado, cuyos datos se exhiben en el nombre de la inmobiliaria. Ley 5115: excepto que en la descripción de la propiedad se indique lo contrario, el edificio puede no contar con rampa para personas con movilidad reducida, y no ser accesible para personas con discapacidades físicas. Venta sujeta a la obtención del coti por parte del propietario. Las medidas son aproximadas, las reales surgen del título o plano de mensura. Las reservas se toman exclusivamente en la inmobiliaria con el matriculado cmcpdjlp 7548

Contactar
1/12

0

USD 55.000

152 Entre 8 y 9 600, Piso 0

Terreno en Venta en Berisso, Buenos Aires

C21 Burgos Ricetti COL7339  COL7419
  • 506 m² Total
  • 10 mts Frente
  • 50 mts Fondo

Lote con Casa a Refaccionar en Venta en Berisso

Calle 152 e/ 8 y 9. Propiedad desarrollada sobre lote de 10,4 metros de frente por 48,7 metros de fondo. Casa tipo chalet a refaccionar o demoler, de ladrillo a la vista y techo de tejas, desarrollada integramente en planta baja. Posee dos dormitorios, baño completo, cocina integrada al comedor por una barra y sala de estar. Fondo y jardín delantero con añosa vegetación. La propiedad se ubica en un barrio con buena accesibilidad. Claudio fabricio burgos y emiliano ricetti matrícula cmcpdjlp 7339 / cmcpdjlp 7419 teléfonos de contacto (0 todas las propiedades que figuran en esta publicación se encuentran a cargo del profesional matriculado claudio fabricio burgos y emiliano ricetti, matrícula cmcpdjlp 7339 / cmcpdjlp 7419 por lo tanto la intermediación y la conclusión de las operaciones serán llevadas exclusivamente por él. En cumplimiento de la ley 10.973 de la provincia de buenos aires, ley nacional 25.028, ley nacional 20.266, ley 22.802 de lealtad comercial, ley 24.240 de defensa al consumidor, las normas del código civil y comercial de la nación y constitucionales, los asesores o agentes no ejercen el corretaje inmobiliario. Todas las operaciones inmobiliarias son objeto de intermediación y conclusión por parte del martillero y corredor colegiado, cuyos datos se exhiben en el nombre de la inmobiliaria. Ley 5115: excepto que en la descripción de la propiedad se indique lo contrario, el edificio puede no contar con rampa para personas con movilidad reducida, y no ser accesible para personas con discapacidades físicas. Venta sujeta a la obtención del coti por parte del propietario. Las medidas son aproximadas, las reales surgen del título o plano de mensura. Las reservas se toman exclusivamente en la inmobiliaria con el matriculado cmcpdjlp 7339 / cmcpdjlp 7419

Contactar
1/11

0

USD 30.000

159 1000, Piso 0

Terreno en Venta en Berisso, Buenos Aires

 C21 CASABONA
  • 148 m² Total

LOTE EN VENTA EN EL CENTRO DE BERISSO

Este lote sobre la calle independencia en el centro de berisso, mide aproximadamente 10 x 14m , ideal para vivienda familiar/deposito/garaje, etc. Esta ubicado en una zona residencial. Posee todos los servicios agua, luz, gas, cloacas. Tiene una construcción precaria a demoler. El lote es parte de un ph. Cerca pasan varias líneas de colectivos. Zonificación: r3a fos: 0,6 fot: 1 ethel silvina casabona matrícula c.U.C.I.C.B.A. 8212 / c.M.C.P.D.J.L.M 990 teléfonos de contacto todas las propiedades que figuran en esta publicación se encuentran a cargo del profesional matriculado ethel silvina casabona, matrícula c.U.C.I.C.B.A. 8212 / c.M.C.P.D.J.L.M 990 por lo tanto la intermediación y la conclusión de las operaciones serán llevadas exclusivamente por él. En cumplimiento de la ley 10.973 de la provincia de buenos aires, ley nacional 25.028, ley nacional 20.266, ley 22.802 de lealtad comercial, ley 24.240 de defensa al consumidor, las normas del código civil y comercial de la nación y constitucionales, los asesores o agentes no ejercen el corretaje inmobiliario. Todas las operaciones inmobiliarias son objeto de intermediación y conclusión por parte del martillero y corredor colegiado, cuyos datos se exhiben en el nombre de la inmobiliaria. Ley 5115: excepto que en la descripción de la propiedad se indique lo contrario, el edificio puede no contar con rampa para personas con movilidad reducida, y no ser accesible para personas con discapacidades físicas. Venta sujeta a la obtención del coti por parte del propietario. Las medidas son aproximadas, las reales surgen del título o plano de mensura. Las reservas se toman exclusivamente en la inmobiliaria con el matriculado c.U.C.I.C.B.A. 8212 / c.M.C.P.D.J.L.M 990

Contactar
1/4

0

USD 24.000

17-El Progreso , Piso 0

Terreno en Venta en Berisso, Buenos Aires

 C21 CASABONA
  • 600 m² Total

LOTE EN VENTA EN BERISSO

Son 2 lotes sobre la calle 17-el progreso en la ciudad de berisso. Miden 10 x 30 m cada lote. Están sobre calle de tierra compactada de fácil acceso a 1 1/2 cuadra hay un centro comercial sobre pavimento y pasan varias líneas de colectivos. Los lotes se pueden vender juntos o por separado. Zonificación: r3a fos: 0,6 fot: 1 ethel silvina casabona matrícula c.U.C.I.C.B.A. 8212 / c.M.C.P.D.J.L.M 990 teléfonos de contacto todas las propiedades que figuran en esta publicación se encuentran a cargo del profesional matriculado ethel silvina casabona, matrícula c.U.C.I.C.B.A. 8212 / c.M.C.P.D.J.L.M 990 por lo tanto la intermediación y la conclusión de las operaciones serán llevadas exclusivamente por él. En cumplimiento de la ley 10.973 de la provincia de buenos aires, ley nacional 25.028, ley nacional 20.266, ley 22.802 de lealtad comercial, ley 24.240 de defensa al consumidor, las normas del código civil y comercial de la nación y constitucionales, los asesores o agentes no ejercen el corretaje inmobiliario. Todas las operaciones inmobiliarias son objeto de intermediación y conclusión por parte del martillero y corredor colegiado, cuyos datos se exhiben en el nombre de la inmobiliaria. Ley 5115: excepto que en la descripción de la propiedad se indique lo contrario, el edificio puede no contar con rampa para personas con movilidad reducida, y no ser accesible para personas con discapacidades físicas. Venta sujeta a la obtención del coti por parte del propietario. Las medidas son aproximadas, las reales surgen del título o plano de mensura. Las reservas se toman exclusivamente en la inmobiliaria con el matriculado c.U.C.I.C.B.A. 8212 / c.M.C.P.D.J.L.M 990

Contactar
1/13

0

USD 26.000

13 e/ 149 y 150 2400

Terreno en Venta en Berisso, Buenos Aires

REMAX Roble
  • 400 m² Total

LOTE EN VENTA BERISSO CON ESCRITURA

Corredor responsable: romina chiffel col. 7801. Tºxiv, fº120 / juan ignacio ledesma cpi 8948 - contacto: timoteo paunero 13 e/ 149 y 150. Lote en venta de 400 m² (10 m x 40 m) ubicado en el barrio residencial villa paula, partido de berisso. Se encuentra a seis cuadras de la avenida génova, lo que facilita una rápida conexión con el centro de la plata, y dispone de acceso a transporte público a una cuadra de distancia. Características principales: superficie: 400 m² (10 m x 40 m) zonificación: residencial r3a infraestructura y servicios: el lote cuenta con los siguientes servicios: - agua corriente - electricidad - gas - internet y cable el terreno se encuentra nivelado, lo que simplifica considerablemente los trabajos de obra. Documentación en regla: la propiedad cuenta con escritura. Existe la posibilidad de anexar el lote lindero, duplicando la superficie total. Los lotes se ofrecen a la venta tanto juntos como por separado. Ideal para quienes buscan tranquilidad en un entorno en crecimiento. ¡Contactanos para más información o para coordinar tu visita! Las medidas consignadas son aproximadas, las reales surgirán del título o plano de mensura. La presente publicación describe las características esenciales del inmueble, debiéndose consultar al corredor público inmobiliario responsable de la operación por la eventual actualización de las medidas, descripciones arquitectónicas y funcionales, valores de expensas, servicios, impuestos, precios y demás información, cuyos valores son aproximados. Comprá la casa que querés! No la que podés pagar. Accede a un préstamo por hasta el 30% del valor de esta propiedad. Simulá tu cuota en lendar. Rau s.R.L. No ejerce el corretaje inmobiliario. El presente sitio web es una plataforma en donde cada oficina inmobiliaria independiente que contrata los servicios re/max puede publicar las propiedades a su cargo. Cada oficina es de propiedad y gestión independiente, por lo que rau s.R.L. No interviene en los datos de la publicación, en la operación inmobiliaria, ni en la confección y/o firma del boleto de compraventa y/o escritura y/o contrato de alquiler. En cumplimiento de las leyes vigentes que regulan el corretaje inmobiliario, ley nacional 25.028, ley 22.802 de lealtad comercial, ley 24.240 de defensa al consumidor, las normas del código civil y comercial de la nación y constitucionales, los agentes/gestores no ejercen el corretaje inmobiliario. Todas las operaciones inmobiliarias son objeto de intermediación y conclusión por parte del corredor público inmobiliario colegiado a cargo de la publicación, cuyos datos se exhiben en la presente. La presente publicación describe las características esenciales del inmueble, debiéndose consultar al corredor público inmobiliario responsable de la operación por la eventual actualización de las medidas, descripciones arquitectónicas y funcionales, valores de expensas, servicios, impuestos, precios y demás información, cuyos valores son aproximados. Comprá la casa que querés! No la que podés. Accedé a un préstamo por hasta el 30% del valor de esta propiedad. Simulá tu cuota en lendar

Contactar
1/25

0

USD 48.000

13 e/ 149 y 150 2400

Terreno en Venta en Berisso, Buenos Aires

REMAX Roble
  • 800 m² Total

LOTES EN VENTA BERISSO CON ESCRITURA

Corredor responsable: romina chiffel col. 7801. Tºxiv, fº120 / juan ignacio ledesma cpi 8948 - contacto: timoteo paunero 13 e/ 149 y 150. Dos lotes en venta de 10 m x 40 m cada uno (800 m² en total) ubicados en el barrio residencial villa paula, partido de berisso. Se encuentran a seis cuadras de la avenida génova, lo que facilita una rápida conexión con el centro de la plata, y disponen de acceso a transporte público a una cuadra de distancia. Características principales: superficie: 10 m x 40 m cada lote. 800 m² en total. Zonificación: residencial r3a. Infraestructura y servicios: los lotes cuentan con los siguientes servicios: - agua corriente - electricidad - gas - internet y cable los terrenos se encuentran nivelados, lo que simplifica considerablemente los trabajos de obra. Documentación en regla: ambas propiedades cuentan con escritura. Ideal para quienes buscan tranquilidad en un entorno en crecimiento. ¡Contactanos para más información o para coordinar tu visita! Las medidas consignadas son aproximadas, las reales surgirán del título o plano de mensura. La presente publicación describe las características esenciales del inmueble, debiéndose consultar al corredor público inmobiliario responsable de la operación por la eventual actualización de las medidas, descripciones arquitectónicas y funcionales, valores de expensas, servicios, impuestos, precios y demás información, cuyos valores son aproximados. Comprá la casa que querés! No la que podés pagar. Accede a un préstamo por hasta el 30% del valor de esta propiedad. Simulá tu cuota en lendar. Rau s.R.L. No ejerce el corretaje inmobiliario. El presente sitio web es una plataforma en donde cada oficina inmobiliaria independiente que contrata los servicios re/max puede publicar las propiedades a su cargo. Cada oficina es de propiedad y gestión independiente, por lo que rau s.R.L. No interviene en los datos de la publicación, en la operación inmobiliaria, ni en la confección y/o firma del boleto de compraventa y/o escritura y/o contrato de alquiler. En cumplimiento de las leyes vigentes que regulan el corretaje inmobiliario, ley nacional 25.028, ley 22.802 de lealtad comercial, ley 24.240 de defensa al consumidor, las normas del código civil y comercial de la nación y constitucionales, los agentes/gestores no ejercen el corretaje inmobiliario. Todas las operaciones inmobiliarias son objeto de intermediación y conclusión por parte del corredor público inmobiliario colegiado a cargo de la publicación, cuyos datos se exhiben en la presente. La presente publicación describe las características esenciales del inmueble, debiéndose consultar al corredor público inmobiliario responsable de la operación por la eventual actualización de las medidas, descripciones arquitectónicas y funcionales, valores de expensas, servicios, impuestos, precios y demás información, cuyos valores son aproximados. Comprá la casa que querés! No la que podés. Accedé a un préstamo por hasta el 30% del valor de esta propiedad. Simulá tu cuota en lendar

Contactar
1/14

0

USD 10.000

Calle 37 entre 126 y 127 600

Terreno en Venta en Berisso, Buenos Aires

  • 95 m² Total
  • Excelente

Lote irregular de 95m2 al frente escriturado

Corredor responsable: daniel guindani cmcpdjlp 7463 / maria delia piñeiro cpi 8976 - contacto: maximiliano comai terreno en venta en berisso. Este terreno en venta se ubica sobre la calle 37, entre las calles 126 y 127, en la ciudad de berisso, provincia de buenos aires. Terreno irregular de 95m2 en ph. Corresponde al lote n°10. Se pueden ver sus medidas en el plano adjuntado en las imágenes. También lotes disponibles del 1 al 9, con varias medidas y precios. Escritura definitiva! No es parte indivisa. El terreno se encuentra en excelente estado, a estrenar, e incluye todos los servicios básicos: electricidad, gas natural, desagüe cloacal y agua corriente. Está estratégicamente ubicado a solo 200 metros de la ruta 11 y a 50 metros de transporte público, lo que lo convierte en una opción ideal tanto para vivienda como para inversión. Actualmente hay 9 terrenos disponibles, con la posibilidad de adquirir más de una unidad. Se ofrece financiación, compra en pesos y se aceptan vehículos en parte de pago. Esta es una oportunidad única para quienes buscan un lote en una ubicación privilegiada y con todos los servicios resueltos. No dude en agendar una visita para conocer más detalles sobre esta propiedad. Rau s.R.L. No ejerce el corretaje inmobiliario. El presente sitio web es una plataforma en donde cada oficina inmobiliaria independiente que contrata los servicios re/max puede publicar las propiedades a su cargo. Cada oficina es de propiedad y gestión independiente, por lo que rau s.R.L. No interviene en los datos de la publicación, en la operación inmobiliaria, ni en la confección y/o firma del boleto de compraventa y/o escritura y/o contrato de alquiler. En cumplimiento de las leyes vigentes que regulan el corretaje inmobiliario, ley nacional 25.028, ley 22.802 de lealtad comercial, ley 24.240 de defensa al consumidor, las normas del código civil y comercial de la nación y constitucionales, los agentes/gestores no ejercen el corretaje inmobiliario. Todas las operaciones inmobiliarias son objeto de intermediación y conclusión por parte del corredor público inmobiliario colegiado a cargo de la publicación, cuyos datos se exhiben en la presente. La presente publicación describe las características esenciales del inmueble, debiéndose consultar al corredor público inmobiliario responsable de la operación por la eventual actualización de las medidas, descripciones arquitectónicas y funcionales, valores de expensas, servicios, impuestos, precios y demás información, cuyos valores son aproximados. Comprá la casa que querés! No la que podés. Accedé a un préstamo por hasta el 30% del valor de esta propiedad. Simulá tu cuota en lendar

Contactar
1/3

0

USD 18.000

25 e/ 161 norte y 161 sur

Terreno en Venta en Berisso, Buenos Aires

REMAX Roble
  • 294 m² Total
  • Excelente

LOTE EN VENTA BERISSO 294 M2

Corredor responsable: romina chiffel col. 7801. Tºxiv, fº120 / juan ignacio ledesma cpi 8948 - contacto: lucas ariel huici calle 25 e/ 161 norte y 161 sur, ubicación privilegiada en la ciudad de berisso, ideal para desarrollo residencial, inversión o emprendimiento comercial. Este terreno cuenta con una superficie de 294 m2, con posibilidad de compra lote lindero, se encuentra en una zona tranquila y en pleno crecimiento a pocas cuadras de calle montevideo, con fácil acceso a principales avenidas servicios esenciales como escuelas, comercios y transporte público. Rau s.R.L. No ejerce el corretaje inmobiliario. El presente sitio web es una plataforma en donde cada oficina inmobiliaria independiente que contrata los servicios re/max puede publicar las propiedades a su cargo. Cada oficina es de propiedad y gestión independiente, por lo que rau s.R.L. No interviene en los datos de la publicación, en la operación inmobiliaria, ni en la confección y/o firma del boleto de compraventa y/o escritura y/o contrato de alquiler. En cumplimiento de las leyes vigentes que regulan el corretaje inmobiliario, ley nacional 25.028, ley 22.802 de lealtad comercial, ley 24.240 de defensa al consumidor, las normas del código civil y comercial de la nación y constitucionales, los agentes/gestores no ejercen el corretaje inmobiliario. Todas las operaciones inmobiliarias son objeto de intermediación y conclusión por parte del corredor público inmobiliario colegiado a cargo de la publicación, cuyos datos se exhiben en la presente. La presente publicación describe las características esenciales del inmueble, debiéndose consultar al corredor público inmobiliario responsable de la operación por la eventual actualización de las medidas, descripciones arquitectónicas y funcionales, valores de expensas, servicios, impuestos, precios y demás información, cuyos valores son aproximados. Comprá la casa que querés! No la que podés. Accedé a un préstamo por hasta el 30% del valor de esta propiedad. Simulá tu cuota en lendar

Contactar
1/2

0

USD 20.000

19 e/ 161 Norte y 161 Sur

Terreno en Venta en Berisso, Buenos Aires

REMAX Roble
  • 300 m² Total
  • Excelente

LOTE EN VENTA BERISSO 300 M2

Corredor responsable: romina chiffel col. 7801. Tºxiv, fº120 / juan ignacio ledesma cpi 8948 - contacto: lucas ariel huici calle 19 e/ 161 norte y 161 sur. Se encuentra en una ubicación privilegiada en la ciudad de berisso, ideal para desarrollo residencial, inversión o emprendimiento comercial. Este terreno cuenta con una superficie de 300 m2, con posibilidad de compra lote lindero, se encuentra en una zona tranquila y en pleno crecimiento a pocas cuadras de calle montevideo, con fácil acceso a principales avenidas servicios esenciales como escuelas, comercios y transporte público. Rau s.R.L. No ejerce el corretaje inmobiliario. El presente sitio web es una plataforma en donde cada oficina inmobiliaria independiente que contrata los servicios re/max puede publicar las propiedades a su cargo. Cada oficina es de propiedad y gestión independiente, por lo que rau s.R.L. No interviene en los datos de la publicación, en la operación inmobiliaria, ni en la confección y/o firma del boleto de compraventa y/o escritura y/o contrato de alquiler. En cumplimiento de las leyes vigentes que regulan el corretaje inmobiliario, ley nacional 25.028, ley 22.802 de lealtad comercial, ley 24.240 de defensa al consumidor, las normas del código civil y comercial de la nación y constitucionales, los agentes/gestores no ejercen el corretaje inmobiliario. Todas las operaciones inmobiliarias son objeto de intermediación y conclusión por parte del corredor público inmobiliario colegiado a cargo de la publicación, cuyos datos se exhiben en la presente. La presente publicación describe las características esenciales del inmueble, debiéndose consultar al corredor público inmobiliario responsable de la operación por la eventual actualización de las medidas, descripciones arquitectónicas y funcionales, valores de expensas, servicios, impuestos, precios y demás información, cuyos valores son aproximados. Comprá la casa que querés! No la que podés. Accedé a un préstamo por hasta el 30% del valor de esta propiedad. Simulá tu cuota en lendar

Contactar
1/2

0

USD 14.000

25 e/ 161 norte y 162

Terreno en Venta en Berisso, Buenos Aires

REMAX Roble
  • 217 m² Total
  • Excelente

LOTE EN VENTA BERISSO 217 M2

Corredor responsable: romina chiffel col. 7801. Tºxiv, fº120 / juan ignacio ledesma cpi 8948 - contacto: lucas ariel huici calle 25 e/ 161 norte y 162, ubicación privilegiada en la ciudad de berisso, ideal para desarrollo residencial, inversión o emprendimiento comercial. Este terreno cuenta con una superficie de 217 m2, se encuentra en una zona tranquila y en pleno crecimiento a pocas cuadras de calle montevideo, con fácil acceso a principales avenidas servicios esenciales como escuelas, comercios y transporte público. Rau s.R.L. No ejerce el corretaje inmobiliario. El presente sitio web es una plataforma en donde cada oficina inmobiliaria independiente que contrata los servicios re/max puede publicar las propiedades a su cargo. Cada oficina es de propiedad y gestión independiente, por lo que rau s.R.L. No interviene en los datos de la publicación, en la operación inmobiliaria, ni en la confección y/o firma del boleto de compraventa y/o escritura y/o contrato de alquiler. En cumplimiento de las leyes vigentes que regulan el corretaje inmobiliario, ley nacional 25.028, ley 22.802 de lealtad comercial, ley 24.240 de defensa al consumidor, las normas del código civil y comercial de la nación y constitucionales, los agentes/gestores no ejercen el corretaje inmobiliario. Todas las operaciones inmobiliarias son objeto de intermediación y conclusión por parte del corredor público inmobiliario colegiado a cargo de la publicación, cuyos datos se exhiben en la presente. La presente publicación describe las características esenciales del inmueble, debiéndose consultar al corredor público inmobiliario responsable de la operación por la eventual actualización de las medidas, descripciones arquitectónicas y funcionales, valores de expensas, servicios, impuestos, precios y demás información, cuyos valores son aproximados. Comprá la casa que querés! No la que podés. Accedé a un préstamo por hasta el 30% del valor de esta propiedad. Simulá tu cuota en lendar

Contactar