(1) (1)
  • Susana

Operación

Terreno

Precio

Buscar solo avisos en moneda:

Dorm|Amb

Más filtros Más filtros

Características

Superficie total

Nombre de calle y altura

Tipo de urbanización

Fot

Servicios

Tipo de anunciante

Comparte comisión

19 Terrenos en Susana

1/2

0

Consultar precio

Rivadavia & Rostoni

Terreno en Venta en Susana, Departamento de Castellanos

REMAX Confianza
  • 2.435 m² Total

VENTA/FRACCIÓN DE TERRENO/LOTES SUBDIVIDIDOS

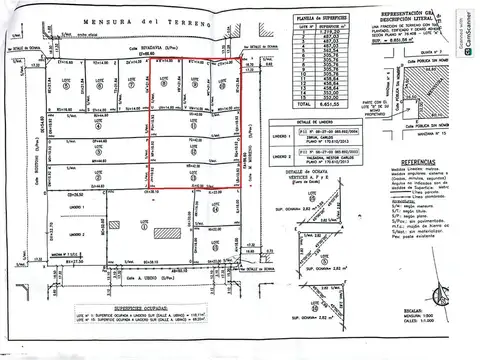
Corredor responsable: joaquín eguiazu cci 859 - contacto: erica otterstedt re/max ofrece en venta una excelente fracción de terreno ubicada en la localidad de susana, santa fe, con una superficie total de 2.435 m² (54,60 m de frente x 44,60 m de fondo). La propiedad se encuentra subdividida en 6 lotes, lo que la convierte en una oportunidad ideal para desarrollo inmobiliario o inversión: lotes 2, 3 y 4: cada uno de 487,03 m², (10,92mx44,50m) con frente sobre calle rostoni (orientación oeste). Lote 5: ubicado en la esquina de rivadavia y rostoni, con 16,60 m de frente sobre rivadavia y 21,84 m sobre rostoni, totalizando 362,54 m². Lotes 6 y 7: cada uno de 305,76 m², (14mx21,84m) con frente sobre calle rivadavia (orientación norte). La fracción se ubica en zona urbana de susana frente a la escuela, dentro de un barrio residencial en crecimiento, con excelente accesibilidad y conectividad hacia rafaela. Oportunidad adicional: posibilidad de anexar fracciones linderas de 4.216 m², ampliando el potencial de desarrollo. Lo que la hace especial: esquina estratégica en rivadavia y rostoni. Lotes subdivididos, listos para proyectos. Orientación favorable y excelente ubicación. Ideal para loteo, emprendimiento habitacional o inversión a futuro rau s.R.L. No ejerce el corretaje inmobiliario. El presente sitio web es una plataforma en donde cada oficina inmobiliaria independiente que contrata los servicios re/max puede publicar las propiedades a su cargo. Cada oficina es de propiedad y gestión independiente, por lo que rau s.R.L. No interviene en los datos de la publicación, en la operación inmobiliaria, ni en la confección y/o firma del boleto de compraventa y/o escritura y/o contrato de alquiler. En cumplimiento de las leyes vigentes que regulan el corretaje inmobiliario, ley nacional 25.028, ley 22.802 de lealtad comercial, ley 24.240 de defensa al consumidor, las normas del código civil y comercial de la nación y constitucionales, los agentes/gestores no ejercen el corretaje inmobiliario. Todas las operaciones inmobiliarias son objeto de intermediación y conclusión por parte del corredor público inmobiliario colegiado a cargo de la publicación, cuyos datos se exhiben en la presente. La presente publicación describe las características esenciales del inmueble, debiéndose consultar al corredor público inmobiliario responsable de la operación por la eventual actualización de las medidas, descripciones arquitectónicas y funcionales, valores de expensas, servicios, impuestos, precios y demás información, cuyos valores son aproximados.

Contactar
1/2

0

Consultar precio

Moreno & Rivadavia

Terreno en Venta en Susana, Departamento de Castellanos

REMAX Confianza
  • 2.293 m² Total

VENTA/FRACCIÓN DE TERRENO/LOTES SUBDIVIDIDOS

Corredor responsable: joaquín eguiazu cci 859 - contacto: erica otterstedt re/max ofrece en venta una excelente fracción de terreno ubicada en la localidad de susana, santa fe, con una superficie total de 2293 m² (42 m de frente x 86,60 m de fondo). La propiedad se encuentra subdividida en 6 lotes, lo que la convierte en una oportunidad ideal para desarrollo inmobiliario o inversión: lotes 8, 9 y 10: cada uno de 305,76 m², (14mx21,84m) con frente sobre calle rivadavia (orientación norte). Lotes 11,12 y 13: cada uno de 458,64 m², (10,82mx42m) con frente sobre calle moreno (orientación este). La fracción se ubica en zona urbana de susana frente a la escuela, dentro de un barrio residencial en crecimiento, con excelente accesibilidad y conectividad hacia rafaela. Oportunidad adicional: posibilidad de anexar fracciones linderas encerrando una superficie total de 6651,55m2 totales, ampliando el potencial de desarrollo. Lo que la hace especial: esquina estratégica en rivadavia y moreno. Lotes subdivididos, listos para proyectos. Orientación favorable y excelente ubicación. Ideal para loteo, emprendimiento habitacional o inversión a futuro rau s.R.L. No ejerce el corretaje inmobiliario. El presente sitio web es una plataforma en donde cada oficina inmobiliaria independiente que contrata los servicios re/max puede publicar las propiedades a su cargo. Cada oficina es de propiedad y gestión independiente, por lo que rau s.R.L. No interviene en los datos de la publicación, en la operación inmobiliaria, ni en la confección y/o firma del boleto de compraventa y/o escritura y/o contrato de alquiler. En cumplimiento de las leyes vigentes que regulan el corretaje inmobiliario, ley nacional 25.028, ley 22.802 de lealtad comercial, ley 24.240 de defensa al consumidor, las normas del código civil y comercial de la nación y constitucionales, los agentes/gestores no ejercen el corretaje inmobiliario. Todas las operaciones inmobiliarias son objeto de intermediación y conclusión por parte del corredor público inmobiliario colegiado a cargo de la publicación, cuyos datos se exhiben en la presente. La presente publicación describe las características esenciales del inmueble, debiéndose consultar al corredor público inmobiliario responsable de la operación por la eventual actualización de las medidas, descripciones arquitectónicas y funcionales, valores de expensas, servicios, impuestos, precios y demás información, cuyos valores son aproximados.

Contactar
1/2

0

Consultar precio

Avellaneda

Terreno en Venta en Susana, Departamento de Castellanos

REMAX Confianza
  • 758 m² Total
  • Muy Bueno

REMAX/VENDE/LOTE/LOTEOBRUNO/SUSANA

Corredor responsable: joaquín eguiazu cci 859 - contacto: pamela vanesa vietti re/max vende lote ubicado en calle avellaneda, en el loteo bruno de la localidad de susana. El mismo tiene orientación norte y mide 18.50 metros de frente por 41 metros de fondo, encerrando una superficie total de 758.50 metros2 cuenta con calle de ripio, electricidad mudate a la vida que soñas solo tenes que llamarme rau s.R.L. No ejerce el corretaje inmobiliario. El presente sitio web es una plataforma en donde cada oficina inmobiliaria independiente que contrata los servicios re/max puede publicar las propiedades a su cargo. Cada oficina es de propiedad y gestión independiente, por lo que rau s.R.L. No interviene en los datos de la publicación, en la operación inmobiliaria, ni en la confección y/o firma del boleto de compraventa y/o escritura y/o contrato de alquiler. En cumplimiento de las leyes vigentes que regulan el corretaje inmobiliario, ley nacional 25.028, ley 22.802 de lealtad comercial, ley 24.240 de defensa al consumidor, las normas del código civil y comercial de la nación y constitucionales, los agentes/gestores no ejercen el corretaje inmobiliario. Todas las operaciones inmobiliarias son objeto de intermediación y conclusión por parte del corredor público inmobiliario colegiado a cargo de la publicación, cuyos datos se exhiben en la presente. La presente publicación describe las características esenciales del inmueble, debiéndose consultar al corredor público inmobiliario responsable de la operación por la eventual actualización de las medidas, descripciones arquitectónicas y funcionales, valores de expensas, servicios, impuestos, precios y demás información, cuyos valores son aproximados.

Contactar
1/6

0

USD 33.000

Sarmiento

Terreno en Venta en Susana, Departamento de Castellanos

REMAX Confianza
  • 541 m² Total

VENDO/LOTE/SUSANA

Corredor responsable: joaquín eguiazu cci 859 - contacto: daniel yost lote ubicado en la localidad de susana, sobre calle sarmiento, con orientación sur. Cuenta con 12,50 metros de frente por 43,40 metros de fondo, encerrando una superficie total de 541,25 m². Se encuentra en un entorno muy verde y forestado, ideal para quienes buscan tranquilidad, contacto con la naturaleza y calidad de vida, sin alejarse del casco urbano. Rau s.R.L. No ejerce el corretaje inmobiliario. El presente sitio web es una plataforma en donde cada oficina inmobiliaria independiente que contrata los servicios re/max puede publicar las propiedades a su cargo. Cada oficina es de propiedad y gestión independiente, por lo que rau s.R.L. No interviene en los datos de la publicación, en la operación inmobiliaria, ni en la confección y/o firma del boleto de compraventa y/o escritura y/o contrato de alquiler. En cumplimiento de las leyes vigentes que regulan el corretaje inmobiliario, ley nacional 25.028, ley 22.802 de lealtad comercial, ley 24.240 de defensa al consumidor, las normas del código civil y comercial de la nación y constitucionales, los agentes/gestores no ejercen el corretaje inmobiliario. Todas las operaciones inmobiliarias son objeto de intermediación y conclusión por parte del corredor público inmobiliario colegiado a cargo de la publicación, cuyos datos se exhiben en la presente. La presente publicación describe las características esenciales del inmueble, debiéndose consultar al corredor público inmobiliario responsable de la operación por la eventual actualización de las medidas, descripciones arquitectónicas y funcionales, valores de expensas, servicios, impuestos, precios y demás información, cuyos valores son aproximados.

Contactar
1/6

0

USD 33.000

Sarmiento

Terreno en Venta en Susana, Departamento de Castellanos

REMAX Confianza
  • 541 m² Total

VENDO/LOTE/SUSANA

Corredor responsable: joaquín eguiazu cci 859 - contacto: daniel yost lote ubicado en la localidad de susana, sobre calle sarmiento, con orientación sur. Cuenta con 12,50 metros de frente por 43,40 metros de fondo, encerrando una superficie total de 541,25 m². Se encuentra en un entorno muy verde y forestado, ideal para quienes buscan tranquilidad, contacto con la naturaleza y calidad de vida, sin alejarse del casco urbano. Rau s.R.L. No ejerce el corretaje inmobiliario. El presente sitio web es una plataforma en donde cada oficina inmobiliaria independiente que contrata los servicios re/max puede publicar las propiedades a su cargo. Cada oficina es de propiedad y gestión independiente, por lo que rau s.R.L. No interviene en los datos de la publicación, en la operación inmobiliaria, ni en la confección y/o firma del boleto de compraventa y/o escritura y/o contrato de alquiler. En cumplimiento de las leyes vigentes que regulan el corretaje inmobiliario, ley nacional 25.028, ley 22.802 de lealtad comercial, ley 24.240 de defensa al consumidor, las normas del código civil y comercial de la nación y constitucionales, los agentes/gestores no ejercen el corretaje inmobiliario. Todas las operaciones inmobiliarias son objeto de intermediación y conclusión por parte del corredor público inmobiliario colegiado a cargo de la publicación, cuyos datos se exhiben en la presente. La presente publicación describe las características esenciales del inmueble, debiéndose consultar al corredor público inmobiliario responsable de la operación por la eventual actualización de las medidas, descripciones arquitectónicas y funcionales, valores de expensas, servicios, impuestos, precios y demás información, cuyos valores son aproximados.

Contactar
1/5

0

USD 45.000

AVELLANEDA 600, Piso 0

Terreno en Venta en Susana, Departamento de Castellanos

C21 Bessone
  • 732 m² Total

Vendo terreno en susana - zona de quintas.

Amplio y hermoso terreno en susana, zona de quintas, parquizado en todo su perimetro. Lote numero 23. 17m de frente x 43,06 de fondo. Bessone guillermo luis matrícula c.C.I. 0311 teléfonos de contacto (0 todas las propiedades que figuran en esta publicación se encuentran a cargo del profesional matriculado bessone guillermo luis, matrícula c.C.I. 0311 por lo tanto la intermediación y la conclusión de las operaciones serán llevadas exclusivamente por él. En cumplimiento de la ley 10.973 de la provincia de buenos aires, ley nacional 25.028, ley nacional 20.266, ley 22.802 de lealtad comercial, ley 24.240 de defensa al consumidor, las normas del código civil y comercial de la nación y constitucionales, los asesores o agentes no ejercen el corretaje inmobiliario. Todas las operaciones inmobiliarias son objeto de intermediación y conclusión por parte del martillero y corredor colegiado, cuyos datos se exhiben en el nombre de la inmobiliaria. Ley 5115: excepto que en la descripción de la propiedad se indique lo contrario, el edificio puede no contar con rampa para personas con movilidad reducida, y no ser accesible para personas con discapacidades físicas. Venta sujeta a la obtención del coti por parte del propietario. Las medidas son aproximadas, las reales surgen del título o plano de mensura. Las reservas se toman exclusivamente en la inmobiliaria con el matriculado c.C.I. 0311

Contactar
1/2

0

USD 31.000

Tucumán 300, Piso 0

Terreno en Venta en Susana, Departamento de Castellanos

C21 Bessone
  • 476 m² Total

Lote en venta en Susana, esquina

Se vende excelente lote en esquina, muy buenas medidas, 476 m2, en la localidad de susana. La calle tiene cordón cuneta y ripio, iluminación urbana y electrificación. Bessone guillermo luis matrícula c.C.I. 0311 teléfonos de contacto 07 todas las propiedades que figuran en esta publicación se encuentran a cargo del profesional matriculado bessone guillermo luis, matrícula c.C.I. 0311 por lo tanto la intermediación y la conclusión de las operaciones serán llevadas exclusivamente por él. En cumplimiento de la ley 10.973 de la provincia de buenos aires, ley nacional 25.028, ley nacional 20.266, ley 22.802 de lealtad comercial, ley 24.240 de defensa al consumidor, las normas del código civil y comercial de la nación y constitucionales, los asesores o agentes no ejercen el corretaje inmobiliario. Todas las operaciones inmobiliarias son objeto de intermediación y conclusión por parte del martillero y corredor colegiado, cuyos datos se exhiben en el nombre de la inmobiliaria. Ley 5115: excepto que en la descripción de la propiedad se indique lo contrario, el edificio puede no contar con rampa para personas con movilidad reducida, y no ser accesible para personas con discapacidades físicas. Venta sujeta a la obtención del coti por parte del propietario. Las medidas son aproximadas, las reales surgen del título o plano de mensura. Las reservas se toman exclusivamente en la inmobiliaria con el matriculado c.C.I. 0311

Contactar
1/1

0

USD 44.000

Independencia , Piso 0

Terreno en Venta en Susana, Departamento de Castellanos

C21 Bessone
  • 546 m² Total

Lote en venta en Susana, en esquina

Lote en susana, excelente ubicacion en esquina! A dos cuadras de la plaza bessone guillermo luis matrícula c.C.I. 0311 teléfonos de contacto (0 todas las propiedades que figuran en esta publicación se encuentran a cargo del profesional matriculado bessone guillermo luis, matrícula c.C.I. 0311 por lo tanto la intermediación y la conclusión de las operaciones serán llevadas exclusivamente por él. En cumplimiento de la ley 10.973 de la provincia de buenos aires, ley nacional 25.028, ley nacional 20.266, ley 22.802 de lealtad comercial, ley 24.240 de defensa al consumidor, las normas del código civil y comercial de la nación y constitucionales, los asesores o agentes no ejercen el corretaje inmobiliario. Todas las operaciones inmobiliarias son objeto de intermediación y conclusión por parte del martillero y corredor colegiado, cuyos datos se exhiben en el nombre de la inmobiliaria. Ley 5115: excepto que en la descripción de la propiedad se indique lo contrario, el edificio puede no contar con rampa para personas con movilidad reducida, y no ser accesible para personas con discapacidades físicas. Venta sujeta a la obtención del coti por parte del propietario. Las medidas son aproximadas, las reales surgen del título o plano de mensura. Las reservas se toman exclusivamente en la inmobiliaria con el matriculado c.C.I. 0311

Contactar
1/3

0

USD 38.000

Pedro pfeiffer , Piso 0

Terreno en Venta en Susana, Departamento de Castellanos

C21 Bessone
  • 650 m² Total

Se vende lote en Susana

Lote en venta en la localidad de susana. A metros de la avenida principal y a 2 cuadras de la plaza. Bessone guillermo luis matrícula c.C.I. 0311 teléfonos de contacto (0 todas las propiedades que figuran en esta publicación se encuentran a cargo del profesional matriculado bessone guillermo luis, matrícula c.C.I. 0311 por lo tanto la intermediación y la conclusión de las operaciones serán llevadas exclusivamente por él. En cumplimiento de la ley 10.973 de la provincia de buenos aires, ley nacional 25.028, ley nacional 20.266, ley 22.802 de lealtad comercial, ley 24.240 de defensa al consumidor, las normas del código civil y comercial de la nación y constitucionales, los asesores o agentes no ejercen el corretaje inmobiliario. Todas las operaciones inmobiliarias son objeto de intermediación y conclusión por parte del martillero y corredor colegiado, cuyos datos se exhiben en el nombre de la inmobiliaria. Ley 5115: excepto que en la descripción de la propiedad se indique lo contrario, el edificio puede no contar con rampa para personas con movilidad reducida, y no ser accesible para personas con discapacidades físicas. Venta sujeta a la obtención del coti por parte del propietario. Las medidas son aproximadas, las reales surgen del título o plano de mensura. Las reservas se toman exclusivamente en la inmobiliaria con el matriculado c.C.I. 0311

Contactar
1/6

0

USD 23.500

Alberdi , Piso 0

Terreno en Venta en Susana, Departamento de Castellanos

C21 Bessone
  • 330 m² Total

SE VENDE LOTE EN SUSANA

Lote en susana frente al norte barrio nuevo excelente entorno tranquilidad 5 min de rafaela . Listo para escriturar. Bessone guillermo luis matrícula c.C.I. 0311 teléfonos de contacto (0 todas las propiedades que figuran en esta publicación se encuentran a cargo del profesional matriculado bessone guillermo luis, matrícula c.C.I. 0311 por lo tanto la intermediación y la conclusión de las operaciones serán llevadas exclusivamente por él. En cumplimiento de la ley 10.973 de la provincia de buenos aires, ley nacional 25.028, ley nacional 20.266, ley 22.802 de lealtad comercial, ley 24.240 de defensa al consumidor, las normas del código civil y comercial de la nación y constitucionales, los asesores o agentes no ejercen el corretaje inmobiliario. Todas las operaciones inmobiliarias son objeto de intermediación y conclusión por parte del martillero y corredor colegiado, cuyos datos se exhiben en el nombre de la inmobiliaria. Ley 5115: excepto que en la descripción de la propiedad se indique lo contrario, el edificio puede no contar con rampa para personas con movilidad reducida, y no ser accesible para personas con discapacidades físicas. Venta sujeta a la obtención del coti por parte del propietario. Las medidas son aproximadas, las reales surgen del título o plano de mensura. Las reservas se toman exclusivamente en la inmobiliaria con el matriculado c.C.I. 0311

Contactar
1/6

0

USD 45.000

Colón , Piso 0

Terreno en Venta en Susana, Departamento de Castellanos

C21 Bessone
  • 854,63 m² Total
  • 30,87 mts Frente
  • 27,69 mts Fondo

Venta de amplio terreno en Susana Santa Fe

Venta de amplio terreno en la localidad de susana, con mas de 37 m de frente y mas de 800 m2, posee arboles consolidados y cerco perimetral del tipo olímpico. Se ubica en un entorno campestre y rodeado de casa de fin de semana. Ideal para construir la tuya bessone guillermo luis matrícula c.C.I. 0311 teléfonos de contacto 07 todas las propiedades que figuran en esta publicación se encuentran a cargo del profesional matriculado bessone guillermo luis, matrícula c.C.I. 0311 por lo tanto la intermediación y la conclusión de las operaciones serán llevadas exclusivamente por él. En cumplimiento de la ley 10.973 de la provincia de buenos aires, ley nacional 25.028, ley nacional 20.266, ley 22.802 de lealtad comercial, ley 24.240 de defensa al consumidor, las normas del código civil y comercial de la nación y constitucionales, los asesores o agentes no ejercen el corretaje inmobiliario. Todas las operaciones inmobiliarias son objeto de intermediación y conclusión por parte del martillero y corredor colegiado, cuyos datos se exhiben en el nombre de la inmobiliaria. Ley 5115: excepto que en la descripción de la propiedad se indique lo contrario, el edificio puede no contar con rampa para personas con movilidad reducida, y no ser accesible para personas con discapacidades físicas. Venta sujeta a la obtención del coti por parte del propietario. Las medidas son aproximadas, las reales surgen del título o plano de mensura. Las reservas se toman exclusivamente en la inmobiliaria con el matriculado c.C.I. 0311

Contactar
1/7

0

Consultar precio

Santiago del Estero y Laprida

Terreno en Venta en Susana, Departamento de Castellanos

REMAX Confianza
  • 488 m² Total

VENTA / TERRENO / SUSANA / SANTA FE

Corredor responsable: joaquín eguiazu cci 859 - contacto: carlos perotti remax confianza vende terreno en susana, ubicado sobre esquina en calle laprida y santiago del estero. Cuenta con frente de 11,34 mts.y 487,73 m2 de superficie. Características generales: medidas: 11,34 m x 43,01 m de formato regular. Orientación: frente al noroeste. ¡Propuesta ideal como primera inversión y resguardo de capital! Rau s.R.L. No ejerce el corretaje inmobiliario. El presente sitio web es una plataforma en donde cada oficina inmobiliaria independiente que contrata los servicios re/max puede publicar las propiedades a su cargo. Cada oficina es de propiedad y gestión independiente, por lo que rau s.R.L. No interviene en los datos de la publicación, en la operación inmobiliaria, ni en la confección y/o firma del boleto de compraventa y/o escritura y/o contrato de alquiler. En cumplimiento de las leyes vigentes que regulan el corretaje inmobiliario, ley nacional 25.028, ley 22.802 de lealtad comercial, ley 24.240 de defensa al consumidor, las normas del código civil y comercial de la nación y constitucionales, los agentes/gestores no ejercen el corretaje inmobiliario. Todas las operaciones inmobiliarias son objeto de intermediación y conclusión por parte del corredor público inmobiliario colegiado a cargo de la publicación, cuyos datos se exhiben en la presente. La presente publicación describe las características esenciales del inmueble, debiéndose consultar al corredor público inmobiliario responsable de la operación por la eventual actualización de las medidas, descripciones arquitectónicas y funcionales, valores de expensas, servicios, impuestos, precios y demás información, cuyos valores son aproximados.

Contactar