-
Terreno
-
460 m² Total
VENTA TERRENO EN BLAS PARERA Y CHACO
Corredor Responsable: Manuel González Zurbriggen CCI 684 -
Contacto: Nicolás Castelló
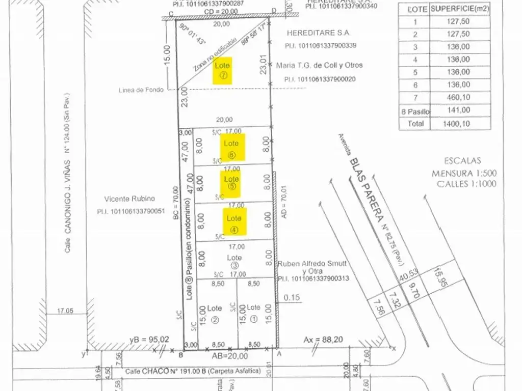
VENTA DE TERRENO INTERNO LOTE N° 7 EN SANTA FE - 460 M² - ZONA BLAS PARERA
Terreno urbano de 460 m² ubicado en calle Chaco al 6054, próximo a Avenida Blas Parera en Santa Fe. Lote interno con ingreso de 3 metros de ancho, con dimensiones de 23 metros en sus lados Este y Oeste, y 20 metros en sus lados Norte y Sur.
Características principales:
- Superficie total: 460 m²
- Calle pavimentada
- Ingreso de 3 metros de ancho
- Ubicación estratégica en zona urbana consolidada
Potenciales destinos:
- Inversión inmobiliaria
- Construcción de viviendas unifamiliares
- Desarrollo de galpón industrial o comercial
Oportunidad de inversión que incluye opción de adquisición conjunta con los lotes N° 4, 5 y 6 colindantes, ampliando posibilidades de desarrollo inmobiliario.
Excelente alternativa para desarrolladores, inversores y particulares que busquen un terreno con potencial de valorización en Santa Fe.
RAU S.R.L. no ejerce el corretaje inmobiliario. El presente sitio web es una plataforma en donde cada oficina inmobiliaria independiente que contrata los servicios RE/MAX puede publicar las propiedades a su cargo. Cada oficina es de propiedad y gestión independiente, por lo que RAU S.R.L. no interviene en los datos de la publicación, en la operación inmobiliaria, ni en la confección y/o firma del boleto de compraventa y/o escritura y/o contrato de alquiler. En cumplimiento de las leyes vigentes que regulan el corretaje inmobiliario, Ley Nacional 25.028, Ley 22.802 de Lealtad Comercial, Ley 24.240 de Defensa al Consumidor, las normas del Código Civil y Comercial de la Nación y Constitucionales, los agentes/gestores NO ejercen el corretaje inmobiliario. Todas las operaciones inmobiliarias son objeto de intermediación y conclusión por parte del corredor público inmobiliario colegiado a cargo de la publicación, cuyos datos se exhiben en la presente. La presente publicación describe las características esenciales del inmueble, debiéndose consultar al corredor público inmobiliario responsable de la operación por la eventual actualización de las medidas, descripciones arquitectónicas y funcionales, valores de expensas, servicios, impuestos, precios y demás información, cuyos valores son aproximados.
Contacto: Nicolás Castelló
VENTA DE TERRENO INTERNO LOTE N° 7 EN SANTA FE - 460 M² - ZONA BLAS PARERA
Terreno urbano de 460 m² ubicado en calle Chaco al 6054, próximo a Avenida Blas Parera en Santa Fe. Lote interno con ingreso de 3 metros de ancho, con dimensiones de 23 metros en sus lados Este y Oeste, y 20 metros en sus lados Norte y Sur.
Características principales:
- Superficie total: 460 m²
- Calle pavimentada
- Ingreso de 3 metros de ancho
- Ubicación estratégica en zona urbana consolidada
Potenciales destinos:
- Inversión inmobiliaria
- Construcción de viviendas unifamiliares
- Desarrollo de galpón industrial o comercial
Oportunidad de inversión que incluye opción de adquisición conjunta con los lotes N° 4, 5 y 6 colindantes, ampliando posibilidades de desarrollo inmobiliario.
Excelente alternativa para desarrolladores, inversores y particulares que busquen un terreno con potencial de valorización en Santa Fe.
RAU S.R.L. no ejerce el corretaje inmobiliario. El presente sitio web es una plataforma en donde cada oficina inmobiliaria independiente que contrata los servicios RE/MAX puede publicar las propiedades a su cargo. Cada oficina es de propiedad y gestión independiente, por lo que RAU S.R.L. no interviene en los datos de la publicación, en la operación inmobiliaria, ni en la confección y/o firma del boleto de compraventa y/o escritura y/o contrato de alquiler. En cumplimiento de las leyes vigentes que regulan el corretaje inmobiliario, Ley Nacional 25.028, Ley 22.802 de Lealtad Comercial, Ley 24.240 de Defensa al Consumidor, las normas del Código Civil y Comercial de la Nación y Constitucionales, los agentes/gestores NO ejercen el corretaje inmobiliario. Todas las operaciones inmobiliarias son objeto de intermediación y conclusión por parte del corredor público inmobiliario colegiado a cargo de la publicación, cuyos datos se exhiben en la presente. La presente publicación describe las características esenciales del inmueble, debiéndose consultar al corredor público inmobiliario responsable de la operación por la eventual actualización de las medidas, descripciones arquitectónicas y funcionales, valores de expensas, servicios, impuestos, precios y demás información, cuyos valores son aproximados.
Ubicación
Santa Fe, Departamento de Santa Fe La Capital, Santa Fe
Datos básicos
-
Precio: USD 15.000
Superficie
-
Sup. Total: 460 m2
Código de aviso: AR.42.154.43.56.V1