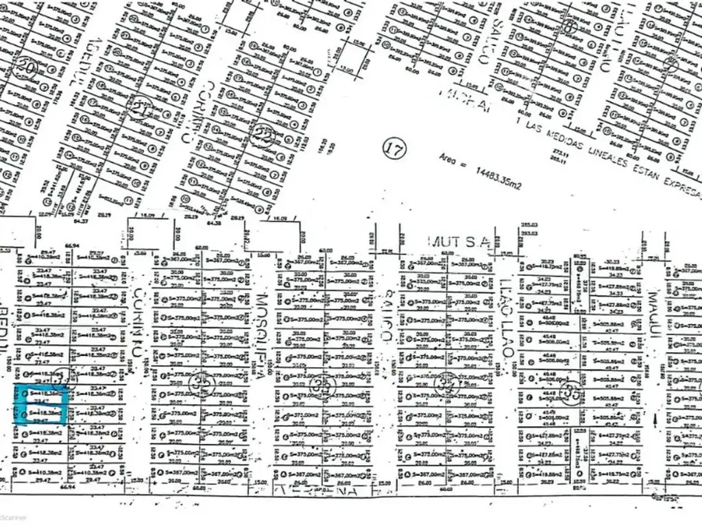
2 Lotes 12,50 X 33 en Solana de la Patagonia

Consultar precio

Venta en Puerto Madryn, Biedma

Consultar precio

  • Terreno

  • 418 m² Total

  • 12,50 mts Frente

  • 33,47 mts Fondo

TERRENOS/FRACCIONES/LOTEOS - LOTEOS - PUERTO MADRYN

VENDO 2 LOTES EN SOLANA DE LA PATAGONIA

SUPERFICIE: 418.38 mts2 c/u
Medidas: 12,50 x 33,47 mts c/u
Sobre calle Abedul, entre Verbena y Mutisia

Contacto: +54 090

OFERTA PROVISTA POR SISTEMA SOM - CODIGO: ANS549

Características

  • Long. Frente: 12,50 m

  • Long. Fondo: 33,47 m

  • Sup. Total: 418 m2

Código de aviso: ANS549

Contactá al anunciante

Anselmo Propiedades SRL