-
Terreno
-
Loteo
-
700 m² Total
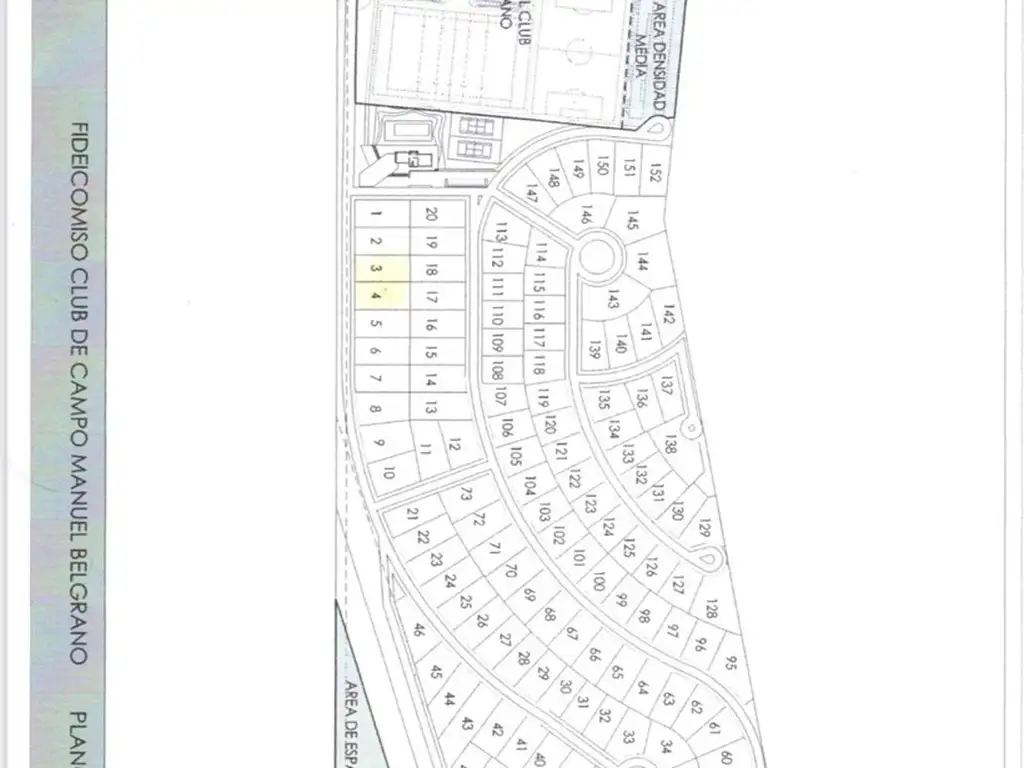
Terreno Lote en Venta en Club Manuel Belgrano, Escobar, G.B.A. Zona Norte - BUN2689_LP571096_1
Barrio con seguridad , house , pileta y deportes. - Mat.
Ubicación
Country Club Manuel Belgrano, Countries y Barrios Cerrados en Escobar, Escobar, G.B.A. Zona Norte
Características
-
Tipo de Terreno: Loteo
Datos básicos
-
Precio: USD 50.000
Superficie
-
Sup. Total: 700 m2
Código de aviso: BUN2689_LP571096_1
Propiedades Similares
-
USD 42.000
LOTE EN VENTA EN BARRIO M. Belgrano - FINANCIA- MAROTO PROPIEDADES
- 840 m² Total
-
USD 43.000
Ofrece Financiación - Lote en Venta en C.C Manuel Belgrano
- 730 m² Total
-
USD 40.000
La Pista 1600
- Terreno
- 798 m² Total
- 20 mts Frente
-
USD 37.000
La pista al 1700 Barrio Manuel Belgrano
- 790 m² Total